age well
Lip & Dermal Fillers | Natural-Looking Results
The kind of refresh no one notices,
but everyone admires.
At CSLC, we believe the best aesthetic results are the ones that feel effortless — and still feel like you. Whether you’re here for subtle lip enhancement or full facial rejuvenation, our expert providers use dermal fillers to smooth, lift, and restore with precision. With over two decades of experience and training that goes far beyond injectables, your treatment plan is never just about a syringe — it’s about supporting your long-term confidence, naturally and thoughtfully.
Dermal fillers at a glance
What they are:
Injectable treatments that restore volume, smooth lines, and add structure. No surgery, no downtime.
What they treat:
Lips, cheeks, under-eye hollows, jawline, chin, and hands — each with a product tailored to that area.
How they work:
Most fillers are made of hyaluronic acid, a substance naturally found in the body. They add volume and structure where time or genetics have created loss.
The appointment:
30–60 minutes depending on areas treated. Assessment, injections, and you're done.
Results:
Immediate, with continued refinement over days to weeks. Longevity varies by area: lips 6–12 months, cheeks and jawline 12–18 months, under-eye up to 24 months.
What are dermal fillers?
Dermal fillers are one of the most versatile, natural-looking ways to restore youthful structure and volume loss from aging or genetics. These injectable treatments are made primarily of hyaluronic acid — a substance naturally found in the body — that restore volume, smooth lines, and rebuild facial structure lost to aging or genetics.
We use premium fillers to:
- Smooth fine lines and creases
- Add lift and contour to the cheeks
- Restore facial balance at the jawline or chin
- Soften under-eye hollows
- Enhance lips with subtle definition or fullness
Unlike Botox, which relaxes muscles, fillers physically add support and fullness exactly where it's needed. The results are immediate, natural-looking, and fully customizable to your anatomy and goals.
At CSLC, we use a carefully selected range of premium filler products, matching each one to the specific area being treated, to smooth, lift, and restore with precision.
Every treatment is customized, because every face is unique.
Why choose CSLC
for dermal fillers?
- You’re treated by aesthetic providers, not just “injectors.” Our team is trained across injectables, lasers, skincare, and hormone health — so we see the full picture.
- Ongoing, advanced training. Our providers meet regularly for advanced training techniques and continual education, so your care is always aligned with the latest techniques and highest standards.
- We don’t work on commission. Your plan is designed for what you actually need — never what someone needs to sell.
- No upsell, no pressure. We focus on partnership, not pushing products.
- Decades of experience, trusted across Michigan and Florida. Whether you visit us in Northern Michigan, Ann Arbor, or Naples, your care plan (and medical record) travels with you.
This is more than a medspa experience. It’s comprehensive care.

Lip filler
Tailored to your features.
Designed for natural movement.
Always in expert hands
At CSLC, lip filler is designed around the result you want — not a one-style-fits-all approach. Patients choose CSLC for lips when they want softness, shape, hydration, and balance, with results that still look like them. Some want smoother, more hydrated lips. Others want subtle fullness, better definition, improved symmetry, or restoration of volume that has naturally declined over time.
Our providers are trained in multiple lip-filler techniques, including vertical tenting and the Russian lip technique, but your treatment is never based on trends. It's based on you. Every treatment uses a precise, anatomy-based approach to determine the right filler, placement, and amount so lips look polished, natural, and in harmony with the face.
We’ll talk through your preferences, review your facial anatomy, and design a plan that supports beautiful, natural movement with minimal swelling and downtime.
If it’s your first time, you’ll never feel rushed or unsure. And if you’ve had filler elsewhere and want to improve your results, we’re here for that, too.
Lip filler before & after photos




Cheek filler &
facial contouring
Cheeks are often the first area to show volume loss with age, and restoring that structure can lift and refresh the entire face without touching a single wrinkle.
At CSLC, cheek filler isn't about adding bulk; it's about rebuilding the natural scaffolding that supports your features. Our providers use products like Voluma, Restylane Lyft, and Contour, chosen based on your facial anatomy, skin quality, and goals, and always assess cheeks in relation to the chin, jawline, and midface as part of our global face approach.
The result is balance and harmony, not just volume.
Cheek filler before & after photos


Tear trough filler &
under-eye rejuvenation
The under-eye area is one of the most technically demanding zones on the face, and one where product selection and injector experience matter more than almost anywhere else. The skin here is the thinnest on the body, which means the wrong product, placed at the wrong depth, shows immediately. It's also why not every patient is a candidate for under-eye filler, and why a thorough assessment always comes first at CSLC.
For product, we most commonly use Restylane for tear trough work. Its consistency makes it well-suited for delicate areas where predictability and controlled placement are critical. Softer, lighter products from the Restylane family are chosen specifically because they integrate naturally into thin tissue without creating the fluid retention or puffiness that heavier products can cause under the eyes. In some patients, we also consider PRF, your body's own platelet-rich fibrin, as a natural alternative that stimulates gradual improvement rather than adding volume directly.
For technique, our providers use cannulas for under-eye filler rather than traditional sharp needles. Cannulas respect natural tissue boundaries and move around blood vessels rather than cutting through them, which significantly reduces bruising and swelling in an area already prone to both. Placement is precise and deliberately conservative: slight undercorrection during the initial session allows the filler to settle naturally before any additional treatment is considered, minimizing the risk of overfilling.
The goal is always a smooth, rested appearance, not a filled one. If under-eye filler isn't the right fit for your anatomy, we'll tell you that during your consultation and discuss alternatives that may serve you better.
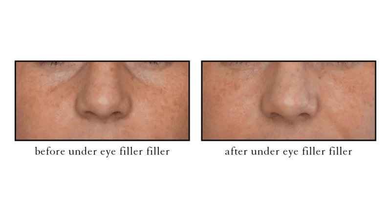
Under-eye filler before & after photos


Jawline & chin filler
A well-defined jawline and chin are central to facial balance, and filler has become one of the most effective non-surgical tools for achieving both.
Whether you're looking to sharpen definition, soften early jowling, or bring better proportion to your profile, jawline and chin filler can create meaningful change without downtime.
At CSLC, we use Defyne and Contour for jawline work — products specifically engineered for high-movement areas — and approach chin augmentation as part of our global face approach. Small changes here often have a meaningful effect on overall facial structure.
Jawline filler before & after photos


Hand rejuvenation with filler
Hands are one of the first places to show age, and one of the most overlooked in aesthetic planning. As volume decreases over time, tendons and veins become more prominent, giving hands a bony, aged appearance that skincare alone can't address.
We offer two approaches depending on your goals: Restylane Lyft for immediate volume restoration, and Radiesse, a unique option that not only restores volume right away but stimulates your body's own collagen production over time for longer-lasting improvement. Your provider will recommend the best fit during your consultation. Either way, the treatment is quick, requires no downtime, and results typically last 9–12 months or more.
Hand rejuvenation before and after photos

Which dermal filler is right for you?
The honest answer is: it depends — on the area being treated, your anatomy, and your goals. There's no single best filler, which is why we carry the full range of both the Juvederm and Restylane families rather than defaulting to one product for everyone. What matters most is matching the right product to the right place, with the right technique. The accordions here break down the key differences between the two main filler families to help you understand what your provider may recommend and why.
For patients focused on long-term collagen restoration rather than immediate volume, Sculptra may be a better fit. Learn more on our Sculptra page.
What to expect at your filler appointment at CSLC
Your first appointment at CSLC begins with a personalized aesthetic consultation, not a sales pitch. Whether you’re curious about lip filler, cheek contouring, or full facial rejuvenation, we start by understanding what you want to achieve, and build a treatment plan around your natural features and comfort level.
Some patients choose to treat just one area. Others prefer a more gradual, phased approach. Either way, you’ll leave with a clear plan and no pressure.
What our patients say about dermal filler at CSLC
“I’ve happily been a client of CSLC since they opened their doors in Winter Park. The specialists there have used Sculptra, Dysport, and fillers on my face.”
-INA LEVITCH
“I went through the hardest few years of my life. My Mom had a stroke and it upended my life. She subsequently passed away. I was left in grief and had lost my spark. I had heard a dermatologist say that sometimes to tackle grief, you have to heal from the outside in.
I started to go and get facials at the Cosmetic Skin & Laser Center in Traverse City with Jensen. Then, I got Botox and lip filler with Mikailah. These ladies brought me back to life. They will forever be my queens. From the minute you walk in, you feel like you belong. The staff at every interaction are kind, knowledgeable, helpful and want you to look and feel your best. It’s a full face, undetectable philosophy. They help you meet your goals and are respectful about your budget. I will forever be grateful for their kindness, the laughs we’ve shared and their commitment to the very best of everything. Run, don’t walk, to the Cosmetic Skin & Laser Center.”
-ANGELA THOMPSON
“I've had great experience with this company! All of the ladies are very friendly and willing to answer any questions I have as well as go over prices on treatments. Jette does an amazing job on lip fillers and Botox, I have suggested her and the company to my friends and coworkers! Thank you for helping me gain my self confidence! I appreciate you so much!”
-JANE